الرئيسية
أراضي قناة إسطنبول
فرص عقارية
مقالات
فيديو
الرئيسية
|
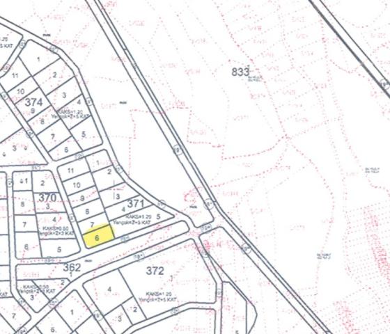
تفاصيل الأرض
🔥أرض مميزة بإطلالة مائية ونسبة إعمار عالية🔥 - SAZLIBOSNA
سكني
تفاصيل الأرض
المساحة
㎡ 912
المساحة بعد الإعمار
㎡ 502
السعر الااجمالي
$177,500
نوع الإعمار
سكني
نسبة الإعمار
120%
عدد الطوابق
6
نوع الطابو قبل الإعمار
طابو منفصل
نوع الطابو بعد الإعمار
طابو منفصل
المرحلة
الثالثة
المميزات والخصائص
مطلة على قناة اسطنبول
تبعد عن القناة 250 متر
قريبة من حديقة
شارك
تواصل معنا عبر واتساب واستثمر في اسطنبول الحديثة
للمزيد من المعلومات يمكنكم التواصل معنا مباشرة..
الاسم
رقم الجوال
الموضوع
الرسالة
ارسال
طباعة الصفحة
ربما يهمك أيضاً
سكني تجاري
تملك ارض في مشروع القرن - ÇİLİNGİR
السعر
$969,700
المساحة
㎡ 5,250
تجاري أبراج
تملك أرض ذات نسبة اعمار عالية في مشروع القناة
السعر
$363,000
المساحة
㎡ 1,358
سكني
فرصة مميزة لااستثمار -DURSUNKÖY
السعر
$193,500
المساحة
㎡ 1,210
الرئيسية
أراضي قناة إسطنبول
فرص عقارية
مقالات
فيديو